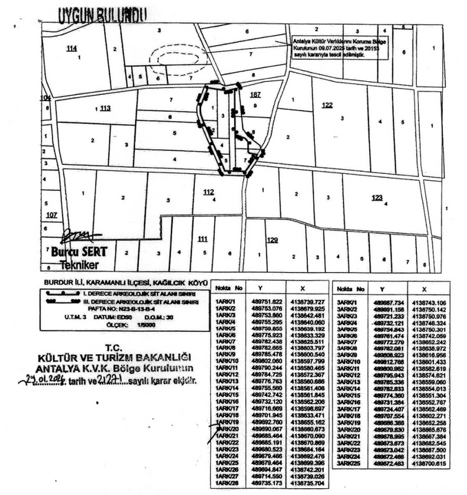
I. ve III. derece sit alanı olarak yeniden düzenlendi


Yapılan değerlendirme sonucunda, arkeolojik buluntuların yoğun olduğu bölüm I. Derece Arkeolojik Sit Alanı olarak korunurken, höyüğün çevresini kapsayan alan ise III. Derece Arkeolojik Sit Alanı olarak belirlendi.


Kurul, güncellenen sınırları gösteren 1/5000 ölçekli harita ile tescil fişini uygun bularak kararı onayladı.


Alınan kararın, bölgedeki kültürel mirasın korunmasına yönelik çalışmalara hukuki zemin sağlaması ve arkeolojik değerlerin daha etkin korunmasına katkı sunması bekleniyor.

Yorumlar
Editör Hakkında